流通
-

「ホクレンショップFoodFarm元江別店」リューアルオープン、開店前500人が行列
-

札幌の新規オフィスビル「サッポロアーチビル」1階に「ローソン札幌南2条西六丁目店」出店
-

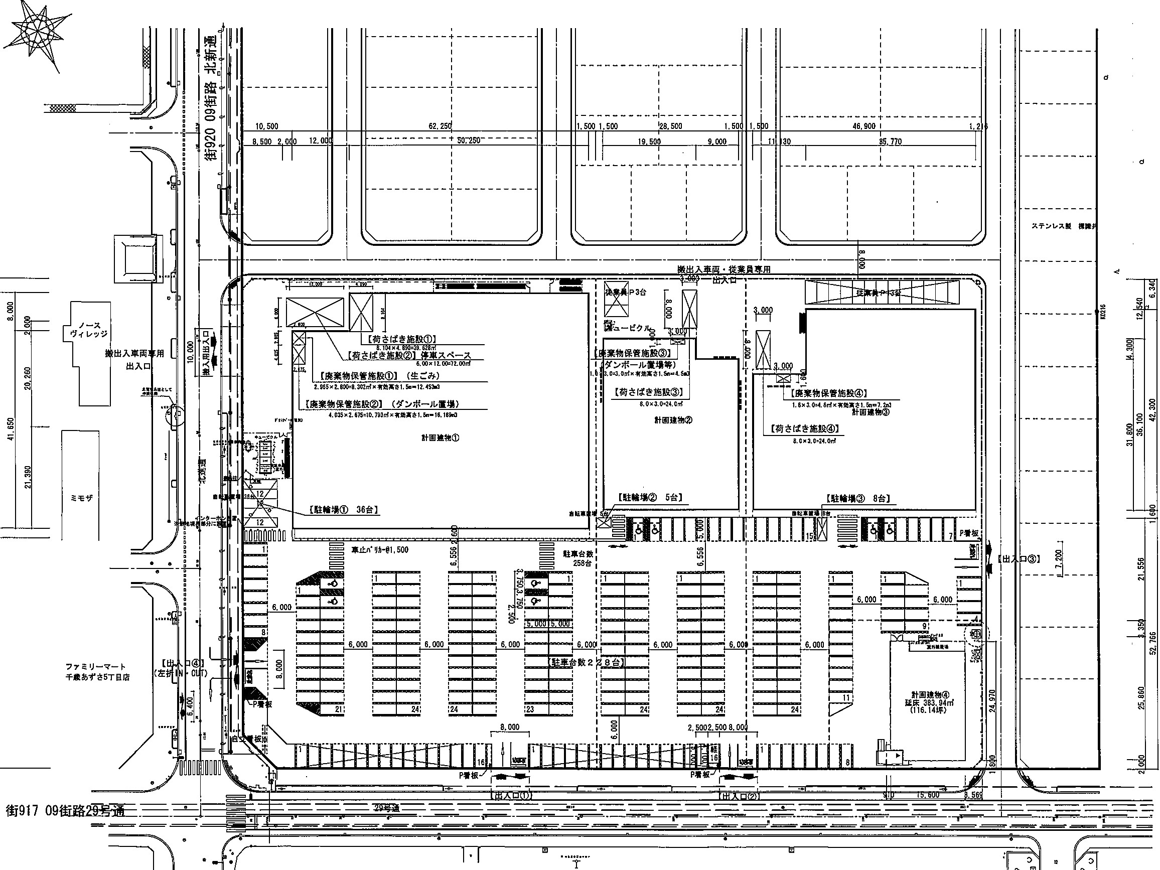
【成長都市・千歳】コンビニ出店活発、「ローソン千歳青葉五丁目店」オープンへ
-

【成長都市・千歳】「なんでもリサイクルビッグバン千歳信濃店」内に「ホビー館」オープン
-

コープさっぽろが「チューオー天塩店」承継、幌延町・豊富町の「フードインタイムリーイトウ」も調整中
-

食品スーパー「フードD」の豊月、豊岡総一郎専務が社長昇格
-

「ローソン留萌鬼鹿店」30年の営業に幕、留萌~稚内180㎞「ローソン」ゼロに
-

作業用品店「プロノ北見三輪店」&整備工具専門店「アストロプロダクツ北見店」コラボ展開
-

旧「白石中央病院」跡地に「ツルハドラッグ平和通3丁目店」新設
-

トライアル、北斗追分IC産業団地に出店
































